Logo Lépi'Net

Les Carnets du Lépidoptériste Français

Geometridae Ennominae

Chariaspilates formosaria Ev.

La Phalène du Populage, l'Aspilate des marais

Nourriture de la chenille : Lysimachia vulgaris, Myrica gale


Références : Id TAXREF : n°248842 / Guide Robineau (2007) : n°715

Chariaspilates formosaria Ev. adulte - ©Daniel Morel
Arles (Bouches-du-Rhône), 12 août 2007. Photo Daniel Morel.
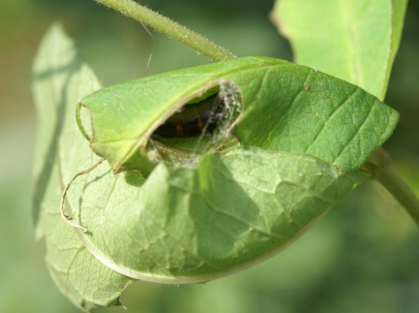
Chariaspilates formosaria Ev. adulte - ©Daniel Morel Chariaspilates formosaria Ev. adulte - ©Daniel Morel Chariaspilates formosaria Ev. adulte - ©Philippe Mothiron Chariaspilates formosaria Ev. adulte - ©Philippe Mothiron  Chrysalide de Chariaspilates formosaria Ev. - ©Lionel Taurand  Chrysalide de Chariaspilates formosaria Ev. - ©Lionel Taurand  Chenille de Chariaspilates formosaria Ev. - ©Lionel Taurand  Chenille de Chariaspilates formosaria Ev. - ©Lionel Taurand  Chenille de Chariaspilates formosaria Ev. - ©Lionel Taurand

Etat carte : à actualiser

A propos des cartes